Skępe

Zapraszam do zapoznania się z ofertą sprzedaży urokliwej działki rolnej położonej we wsi Wioska gmina Skępe

Powierzchnia działki : 3143 m2
Klasa działki: V i VI


- dojazd od ulicy Rynek;
- działka znajduje się w bliskiej odległości od jeziora  i nowej zabudowy jednorodzinnej;
- 1km do miasta Skępe 
- 10 km do miasta Lipno
- w pobliżu potrzebna infrastruktura handlowo-usługowa, szkoła podstawa i średnia (Technikum i Liceum Ogólnokształcące), dworzec PKS i PKP 

Dostępne media :
- prąd - w drodze, 
- woda - w drodze przy działce.

Według studium działka znajduje się na terenach kontynuacji i uzupełnień istniejącej zabudowy mieszkaniowej jednorodzinnej i wielorodzinnej oraz zagrodowej z dopuszczeniem usług.  

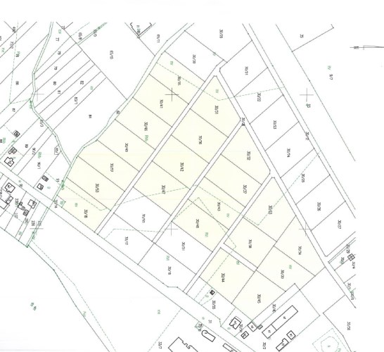
Istnieje również możliwość zakupu działek sąsiadujących 
Na zdjęciu kolorem żółtym zaznaczone są dostępne działki

Polecam i zapraszam na prezentację,
Anna Siemińska, tel.  530 890 355

Usługa pośrednictwa jest usługą płatną w momencie wynajmu nieruchomości. Prezentacje są bezpłatne.

Oferujemy kompleksową pomoc w zakresie kredytowania nieruchomości. Opis oferty sporządzony jest na podstawie oględzin nieruchomości oraz informacji uzyskanych od właściciela. Może podlegać aktualizacji i nie stanowi oferty handlowej w rozumieniu Kodeksu Cywilnego. Usługa pośrednictwa jest usługą płatną w momencie zakupu nieruchomości. Prezentacje są bezpłatne.



 

Informacje Ogólne
Numer ogłoszenia:
MAG-GS-20355
Lokalizacja:
Skępe
Pow.całkowita[m2]:
3143.00
Kaucja zabezpieczająca:
Stan ofert:
Aktualna
Instalacje:
Powierzchnia użytkowa [m2]:
3143.00
Informacje o Agencie
Anna Sieminska
sieminska@magic-nieruchomosci.pl
530890355

Kalkulator dobrych zmian

Inwestycyjny i kredytowy

Każdą decyzję powinna poprzedzać kalkulacja finansowa. Dysponujemy zaawansowanymi kalkulatorami kredytowymi – dzięki niezależnemu doradcy, możesz otrzymać najkorzystniejszą ofertę z dowolnego banku. Jednocześnie nasi specjaliści w zakresie inwestycji na rynku nieruchomości z łatwością wycenią nieruchomość i obliczą prawdopodobną stopę zwrotu. Codziennie w naszej pracy wykorzystujemy niezbędne narzędzia i wiedzę, żeby maksymalizować zyski klientów. Oblicz swoje możliwości podczas bezpłatnej konsultacji.

Przelicznik inwestycji

Koszt inwestycji

125720.00 zł

Okres wynajmu

Kwota wynajmu

Potencjalny przychód

Potencjalny dochód

Masz pytania?

Skontaktuj się z nami i dowiedz się więcej