Skępe

Zapraszam do zapoznania się z ofertą sprzedaży urokliwych działek położonych we wsi Wioska, gmina Skępe 

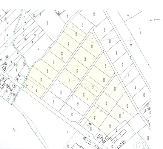
W ofercie mamy 21 działek 
Łączna powierzchnia działek 6,6030 ha 
Powierzchnia pojedynczej działki to około 3000 m2 
Klasa działek od IV do VI 

- dojazd od ulicy Rynek; 
- działka znajduje się w bliskiej odległości od jeziora. Z działek rozpościera się malowniczy widok na jezioro
- w najbliższej okolicy znajduje się luźna zabudowa domów wolnostojących jednorodzinnych; 
- 1km do miasta Skępe 
- 10 km do miasta Lipno 
- w pobliżu potrzebna infrastruktura handlowo-usługowa, szkoła podstawa i średnia (Technikum i Liceum Ogólnokształcące), dworzec PKS i PKP 
- We Wiosce znajduje się atrakcja turystyczna dworek Gustawa Zieliński, który został wzniesiony na początku XIX wieku.

Dostępne media : 
- Prąd, woda, światłowód w  drodze, 


Według studium działki znajduje się na terenach kontynuacji i uzupełnień istniejącej zabudowy mieszkaniowej jednorodzinnej i wielorodzinnej oraz zagrodowej z dopuszczeniem usług. 

Na zdjęciu kolorem żółtym zaznaczone są dostępne działki 
Na ten moment istnieje możliwość podziału działek nr: 30/45, 30/44, 30/18, 30/53 

Polecam i zapraszam na prezentację,
Anna Siemińska, tel.  530 890 355

Usługa pośrednictwa jest usługą płatną w momencie wynajmu nieruchomości. Prezentacje są bezpłatne.

Oferujemy kompleksową pomoc w zakresie kredytowania nieruchomości. Opis oferty sporządzony jest na podstawie oględzin nieruchomości oraz informacji uzyskanych od właściciela. Może podlegać aktualizacji i nie stanowi oferty handlowej w rozumieniu Kodeksu Cywilnego. Usługa pośrednictwa jest usługą płatną w momencie zakupu nieruchomości. Prezentacje są bezpłatne.



 

Informacje Ogólne
Numer ogłoszenia:
MAG-GS-20362
Lokalizacja:
Skępe
Pow.całkowita[m2]:
66030.00
Kaucja zabezpieczająca:
Stan ofert:
Aktualna
Instalacje:
Powierzchnia użytkowa [m2]:
66030.00
Informacje o Agencie
Anna Sieminska
sieminska@magic-nieruchomosci.pl
530890355

Kalkulator dobrych zmian

Inwestycyjny i kredytowy

Każdą decyzję powinna poprzedzać kalkulacja finansowa. Dysponujemy zaawansowanymi kalkulatorami kredytowymi – dzięki niezależnemu doradcy, możesz otrzymać najkorzystniejszą ofertę z dowolnego banku. Jednocześnie nasi specjaliści w zakresie inwestycji na rynku nieruchomości z łatwością wycenią nieruchomość i obliczą prawdopodobną stopę zwrotu. Codziennie w naszej pracy wykorzystujemy niezbędne narzędzia i wiedzę, żeby maksymalizować zyski klientów. Oblicz swoje możliwości podczas bezpłatnej konsultacji.

Przelicznik inwestycji

Koszt inwestycji

1543121.00 zł

Okres wynajmu

Kwota wynajmu

Potencjalny przychód

Potencjalny dochód

Masz pytania?

Skontaktuj się z nami i dowiedz się więcej