Skępe

Zapraszam do zapoznania się z ofertą sprzedaży urokliwych działek położonych we wsi Wioska, gmina Skępe 

Działka znajdują się w bliskiej odległości od jeziora, a z terenu rozpościera się malowniczy widok na wodę

Powierzchnia działki: 1100 m2
Klasa działki od IV do VI 

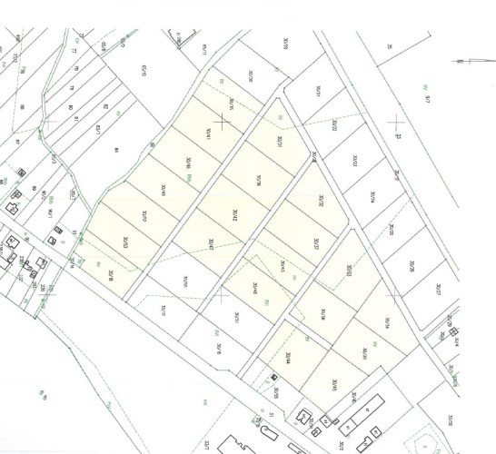
W ofercie mamy 21 działek 
Powierzchnie pozostałych działek to około 3000 m2
Klasa działek od IV do VI 

 

Lokalizacja:
- dojazd od ulicy Rynek,
- działka znajdują się w blisko jeziora,
- w okolicy luźna zabudowa domów jednorodzinnych,
- 1 km do miasta Skępe
,
- 10 km do Lipna
,
- w pobliżu pełna infrastruktura: sklepy, punkty usługowe, szkoła podstawowa, szkoły średnie (Technikum i Liceum Ogólnokształcące), dworzec PKS i PKP,
- we wsi Wioska znajduje się dworek Gustawa Zielińskiego – zabytkowa atrakcja turystyczna z początku XIX wieku.


Dostępne media : 

- Prąd, woda, światłowód w  drodze, 


Według studium działki znajduje się na terenach kontynuacji i uzupełnień istniejącej zabudowy mieszkaniowej jednorodzinnej i wielorodzinnej oraz zagrodowej z dopuszczeniem usług. 

Na zdjęciu kolorem żółtym zaznaczone są dostępne działki 


Polecam i zapraszam na prezentację,
Anna Siemińska, tel.  530 890 355

Usługa pośrednictwa jest usługą płatną w momencie wynajmu nieruchomości. Prezentacje są bezpłatne.

Oferujemy kompleksową pomoc w zakresie kredytowania nieruchomości. Opis oferty sporządzony jest na podstawie oględzin nieruchomości oraz informacji uzyskanych od właściciela. Może podlegać aktualizacji i nie stanowi oferty handlowej w rozumieniu Kodeksu Cywilnego. Usługa pośrednictwa jest usługą płatną w momencie zakupu nieruchomości. Prezentacje są bezpłatne.



 

Informacje Ogólne
Numer ogłoszenia:
MAG-GS-22378
Lokalizacja:
Skępe
Pow.całkowita[m2]:
1100.00
Kaucja zabezpieczająca:
Stan ofert:
Aktualna
Instalacje:
Powierzchnia użytkowa [m2]:
1100.00
Informacje o Agencie
Anna Sieminska
sieminska@magic-nieruchomosci.pl
530890355

Kalkulator dobrych zmian

Inwestycyjny i kredytowy

Każdą decyzję powinna poprzedzać kalkulacja finansowa. Dysponujemy zaawansowanymi kalkulatorami kredytowymi – dzięki niezależnemu doradcy, możesz otrzymać najkorzystniejszą ofertę z dowolnego banku. Jednocześnie nasi specjaliści w zakresie inwestycji na rynku nieruchomości z łatwością wycenią nieruchomość i obliczą prawdopodobną stopę zwrotu. Codziennie w naszej pracy wykorzystujemy niezbędne narzędzia i wiedzę, żeby maksymalizować zyski klientów. Oblicz swoje możliwości podczas bezpłatnej konsultacji.

Przelicznik inwestycji

Koszt inwestycji

60500.00 zł

Okres wynajmu

Kwota wynajmu

Potencjalny przychód

Potencjalny dochód

Masz pytania?

Skontaktuj się z nami i dowiedz się więcej