Skępe

Zapraszam do zapoznania się z ofertą sprzedaży urokliwych działek położonych we wsi Wioska, gmina Skępe 
 

NAJWIĘKSZY ATUT to prywatny widok na jezioro

To właśnie lokalizacja czyni tę ofertę wyjątkową. Działki znajdują się w bardzo bliskiej odległości od brzegu, a z ich terenu rozpościera się malownicza panorama na wodę.

To idealne miejsce dla osób szukających ucieczki od miejskiego zgiełku, pragnących żyć w harmonii z naturą, nie rezygnując jednocześnie z wygody. Luźna zabudowa jednorodzinna w sąsiedztwie gwarantuje prywatność i kameralną atmosferę.


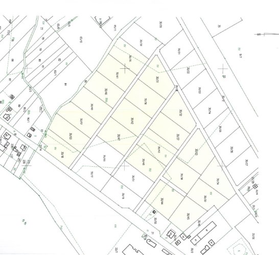
W ofercie posiadamy 3 działki (
Na załączonym zdjęciu działki oznaczone są literami A, B i C)

DZIAŁKA A: Powierzchnia 863 m² – Cena: 51 780 zł
DZIAŁKA B:
Powierzchnia 859 m² – Cena: 51 540 zł
DZIAŁKA C:
Powierzchnia 1000 m² – Cena: 60 000 zł
 

LOKALIZACJA:

Wioska to miejsce z duszą (znajduje się tu m.in. zabytkowy dworek Gustawa Zielińskiego), które łączy walory letniska z doskonałą infrastrukturą miejską:
- Dojazd:
Wygodny dojazd od ulicy Rynek.
- Skępe:
Zaledwie 1 km do centrum miasta.
- Lipno:
Tylko 10 km.
- Infrastruktura:
W zasięgu ręki pełne zaplecze: sklepy, punkty usługowe, szkoła podstawowa, szkoły średnie (Technikum i Liceum), a także dworzec PKS i PKP.


Dostępne media : 

- Prąd, woda, kanalizacja,  światłowód w  drodze, 

Dodatkowe informacje:
- Klasa działki od IV do VI 

- Według studium działki znajduje się na terenach kontynuacji i uzupełnień istniejącej zabudowy mieszkaniowej jednorodzinnej i wielorodzinnej oraz zagrodowej z dopuszczeniem usług. 
Na zdjęciu kolorem żółtym zaznaczone są dostępne działki 

Działki z takimi walorami widokowymi i pełnym dostępem do mediów znikają z rynku błyskawicznie. To doskonała propozycja zarówno dla rodzin szukających swojego miejsca na ziemi, jak i dla inwestorów.


Polecam i zapraszam na prezentację,
Anna Siemińska, tel.  530 890 355

Usługa pośrednictwa jest usługą płatną w momencie wynajmu nieruchomości. Prezentacje są bezpłatne.

Oferujemy kompleksową pomoc w zakresie kredytowania nieruchomości. Opis oferty sporządzony jest na podstawie oględzin nieruchomości oraz informacji uzyskanych od właściciela. Może podlegać aktualizacji i nie stanowi oferty handlowej w rozumieniu Kodeksu Cywilnego. Usługa pośrednictwa jest usługą płatną w momencie zakupu nieruchomości. Prezentacje są bezpłatne.

Informacje Ogólne
Numer ogłoszenia:
MAG-GS-22645
Lokalizacja:
Skępe
Pow.całkowita[m2]:
859.00
Kaucja zabezpieczająca:
Stan ofert:
Aktualna
Instalacje:
Powierzchnia użytkowa [m2]:
859.00
Informacje o Agencie
Anna Sieminska
sieminska@magic-nieruchomosci.pl
530890355

Kalkulator dobrych zmian

Inwestycyjny i kredytowy

Każdą decyzję powinna poprzedzać kalkulacja finansowa. Dysponujemy zaawansowanymi kalkulatorami kredytowymi – dzięki niezależnemu doradcy, możesz otrzymać najkorzystniejszą ofertę z dowolnego banku. Jednocześnie nasi specjaliści w zakresie inwestycji na rynku nieruchomości z łatwością wycenią nieruchomość i obliczą prawdopodobną stopę zwrotu. Codziennie w naszej pracy wykorzystujemy niezbędne narzędzia i wiedzę, żeby maksymalizować zyski klientów. Oblicz swoje możliwości podczas bezpłatnej konsultacji.

Przelicznik inwestycji

Koszt inwestycji

51540.00 zł

Okres wynajmu

Kwota wynajmu

Potencjalny przychód

Potencjalny dochód

Masz pytania?

Skontaktuj się z nami i dowiedz się więcej